Abbaubeginn 1978, erste Kohleförderung 1984
      
      
      
      
        
        
      
    
          
        
        
      
8500 ha (1986) – 8500 ha (2020)
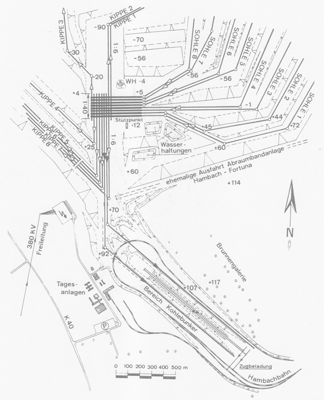
Betriebsfläche
4.380 ha
Abraumleistung
Abraummächtigkeit im Aufschluß 160m: max.: 400m – 220-250 Mio m3 (2020)
Kohleförderung
• Ca. 40 Mio t
• Kohleinhalt 2,5 Mrd t (1986); 24 Mio t (1986) – geplant: 50 Mio t – 1.350 Mio t (2020)
• Kohlemächtigkeit im Aufschluß 25m (1986); max.: 70m
• Einsatz in den Kraftwerken Neurath und Frimmersdorf
Beschäftigte
1280 + 170 Gruppenwerwaltung West (1986) – rd. 1300-1500 (2020)
Schaufelradbagger
(Bagger- und Absetzerbezeichnung entspricht der Förderleistung in m³/Tag)
4x 240.000er
• Bedienungsmannschaft: 5 Mann (1986) – 3-4 Mann (2020)• Schaufelraddurchmesser 21,6m
• Gesamtlänge 225m
• Gesamthöhe 96m
1x 200.000er
• Bedienungsmannschaft: 5 Mann– 3-4 Mann (2020)• Schaufelraddurchmesser 21,6m
• Gesamtlänge 225m
• Gesamthöhe 96m
2020:
2x                    110.000er
        1x                    200.000er
        5x                    240.000er
Absetzer
4x 240.000er
• Bedienungsmannschaft: 5 Mann• Ausleger 100m
• Gesamtlänge 180m
• Gesamthöhe 64m
• Je Absetzer ein Bandschleifenwagen; Leistung: rd. 2000t
Bandanlagen
• Fördergurtbreite 2,8 m
• Gurtgeschwindigkeit 7,5 m/s = rund 27 kmh
Kohlebunker 600.000t
• 2x Bandschleifenwagen auf Schienen 240.000 t / Tag
• 2x Schaufelradaufnahmegeräte auf Schienen
• 120.000 t/Tag
• Schaufelraddurchmesser 14,2m
• Gesamthöhe 46, 5m
Abraumhalde
Sophienhöhe
Aussichtspunkte
terra.nova bei Elsdorf-Berrendorf mit Gastronomie
Elsdorf-Esch
Quellen:
Klahsen, Ernst / von der Ruhren, Norbert: Das Rheinische Braunkohlenrevier (Materialien 2 für den Erdkundeunterricht in der Sekundarstufe II), Rheinbraun AG Köln 1992)
https://www.group.rwe/unser-portfolio-leistungen/betriebsstandorte-finden/tagebau-hambach (Stand 3. 8. 2020)
Tagebau Hambach. Standort-Flyer
 




















