Maschinenfabrik Humboldt | Werks- und Unternehmensgeschichte
Köln, Dillenburgstraße | Christian-Sünner-Straße | Neuerburgstraße (Kalk)
Walter Buschmann
Die Maschinenbaufabrik Humboldt in Kalk. Werks- und Unternehmensgeschichte
Nur wenige Unternehmen haben derart prägnant zugleich Industriegeschichte und zentrales Stadtbild eines Ortes geprägt wie die Maschinenfabrik Humboldt in Köln-Kalk. Diese Wechselwirkung zwischen Werks- und Stadt- bzw. Stadteilgeschichte ist ein äußerst interessantes Beispiel der Industrie- und Stadtbaugeschichte.
Kalk
Der 1003 erstmals als Kalka oder Calke(Kolk = Sumpf) erwähnte Ort war jahrhundertelang nur eine bescheidene Ansiedlung einiger weniger Bauernhöfe auf einer Bodenerhebung etwa dort, wo etwas abseits der alten Ost-West Fernstraße(heute Kalker Hauptstraße) später die Kath. Pfarrkirche St. Josef erbaut wurde. Auch ein 1423 im Anschluss an eine pestartig wütende Epidemie aufgestelltes Marienbild mit nachfolgender und besonders nach einem Kapellenbau 1666/67 belebten Wallfahrt konnte eine bauliche Entwicklung des Ortes nicht begründen. 1815 zählte Kalk 59 Einwohner und selbst zur Mitte des 19. Jahrhunderts hatte der Ort 1856 erst 968 Einwohner. In diesen Jahren um 1850 jedoch gab es nach der Gründung von Ziegeleien die ersten industriellen Ansiedlungen und die Einbeziehung von Kalk zusammen mit Poll und Vingst in eine Landbürgermeisterei Deutz.
Gründung
Selten nur ist mit der nun 1857 gegründeten „Maschinenfabrik für den Bergbau von Sievers&Co“ auch ein Unternehmen von den kleinsten Anfängen am gleichen Ort zu derartiger Größe entwickelt worden. Schon der Standort an der von Deutz über Kalk nach Bensberg führenden Straße verdeutlichte die Ausrichtung der Fabrik. Bensberg war eines der Zentren des Bergbaus im Bergischen Land und die beiden als Triebkraft für Gründung und frühe Unternehmensentwicklung maßgeblichen Personen – Wimmar Breuer und Johann Martin Gottfried Neuerburg - hatten vor allem diesen Absatzmarkt im Sinn, als sie den vermögenden Kaufmann Hermann Diederich Sievers als Geld- und Namensgeber des Unternehmens zur Fabrikgründung überzeugten. Aufbereitungsanlagen und Zerkleinerungsmaschinen bildeten anfangs und über die Jahrzehnte hinweg bis nach dem Zweiten Weltkrieg das Hauptproduktionsfeld des Unternehmens, schon bald jedoch ergänzt um die vielen anderen für den Bergbau unentbehrlichen Maschinen: Pumpen, komplette Wasserhaltungen, Förder- und Dampfmaschinen, Lüfter, Luftkompressoren etc. Schon kurz nach Gründung feierte das noch junge Unternehmen 1857 einen Achtungserfolg mit einem erstmals auf dem Kontinent gebauten Backenbrecher. Die von Sievers & Co 1860 hergestellte erste, kontinuierlich arbeitende, mechanische Kohlenwäsche war ein Markstein in der Bergbaugeschichte, die in keiner historischen Darstellung zum Steinkohlenbergbau fehlen darf.
Die Fabrikanlage der Anfangszeit
Fester Bestandteil der Firmenüberlieferung sind die bescheidenen baulichen Anfänge in einem Brettergebäude für das Kontor und Holzfachwerkbauten auf dem anschließenden, tief von der Kalker Hauptstraße aus nach Süden in die Feldmark hinein auf
schmalem Grundstück bis an den Vingster Kirchweg (heute Dillenburger Str.) vorangetriebenen Fabrikanlage. Den lang gestreckten, bis etwa 1863 vollständig bebauten Werkshof umsäumten mechanische Werkstatt, Schreinerei und Modellwerkstatt, Eisen- und Gelbgießerei, Schmiede sowie Maschinen- und Kesselhaus. Die erste, 3-PS starke Dampfmaschine war zwar im Gründungsjahr 1857 aufgestellt worden. Zuvor aber – auch dies wird gern in den Werkschroniken nacherzählt - hatten vier Arbeiter mit Muskelkraft über ein Vorgelege für den Antrieb der Arbeitsmaschinen gesorgt. Kernstück der Anlage war die so genannte Perforieranstalt, eine Werkstatt zur Herstellung gelochter Bleche, einem der grundlegenden Halbprodukte zur Herstellung von Sieb- und Aufbereitungsanlagen. Nach den bescheidenen Anfängen im Gründungsjahr mit anfangs 16 Arbeitern, hatte das Werk 1861 mit 180 bis 200 Beschäftigten die Größenordnung einer mittleren Maschinenfabrik erreicht.
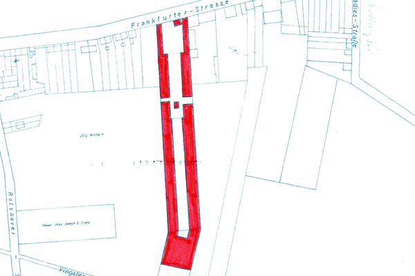
Expansion in den Gründerjahren
Werk 1874 mit Gründungsanlage in rot.
In der auch sonst an Beispielen ungebändigten Expansionsdranges nach 1871 nicht armen deutschen Industriegeschichte muss die Gründungstätigkeit des nun eindeutig in Kalk dominierenden Unternehmens als weit über den gewöhnlichen Rahmen hinausgehend gewürdigt werden. Typisch für jene Zeit war zunächst die Umwandlung in eine Aktiengesellschaft im Oktober 1871 unter dem Namen Maschinenbau-AG Humboldt. Alexander von Humboldt wurde wegen seiner engen Verbindung zum Bergbau als Bezugsperson und Namensgeber gewählt. War schon bei dieser Umgründung Johann Neuerburg die treibende Kraft, entwickelte dieser hochbegabte Techniker besonders nach dem Tod des stets zur Mäßigung mahnenden Hermann Sievers seit 1872 eine geradezu explosive Expansionskraft. Als alleiniger Vorstand und Generaldirektor der neu gegründeten Aktiengesellschaft vergrößerte er das Werk innerhalb von zwei Jahren um das Fünffache. Neue, große Hallen entstanden im „Vingster Feld“ südlich der Dillenburger Straße für Eisengießerei, Schmiede, Schlosserei und Kesselschmiede. Der Maschinenbau dehnte sich nach Westen aus, bis an die Rolshover Straße heran. Auf dem Höhepunkt dieser Entwicklung waren im Werk 2000 Arbeiter beschäftigt.
Historische Abbildungen und eine Werksbeschreibung von 1888 geben Auskunft über die Architektur dieser nicht erhaltenen Bauten der 1870er Jahre. Im Zentrum der Fabrik war eine großflächige Shedhalle für den Maschinenbau entstanden. Die Backsteinhallen waren im üblichen kargen Duktus der Fabrikarchitektur jener Zeit gehalten. Die dreischiffigen Gebäude hatten erhöhte, seitlich über Obergaden belichtete Mittelschiffe. Nicht ungewöhnlich, aber bei metallverarbeitenden Betrieben immer wieder erstaunlich ist die umfangreiche Verwendung von Holzkonstruktionen im Innenausbau für die Haupttragkonstruktion. Flankiert wurden die Mittelschiffe auf beiden Seiten von den für große Lasten doch geeigneteren Gusseisen- oder Stahlstützen zur Aufnahme von Kranbahnen für Doppel-Brückenkräne mit Laufkatzen.
Verwaltung an der Kalker Hauptstraße
Eine andere Architektursprache zeigte das im Zenit der aufstrebenden Entwicklung 1873/74 errichtete Verwaltungsgebäude an der Kalker Hauptstraße. Es befand sich nicht auf dem eigentlichen Werksgelände, sondern entstand gegenüber dem Haupteingang an der Nordseite der Straße. Der dreigeschossige Putzbau wurde in Formen der deutschen Renaissance errichtet und bereitete die Errichtung weiterer Repräsentationsbauten im kommunalen und staatlichen Bereich an der Kalker Hauptstraße vor: 1876/77 entstand Richtung Bensberg das Rathaus der Landbürgermeisterei Kalk und zur anderen Seite Richtung Deutz und Köln 1889 das Königliche Postamt. Alle drei Bauten wurden während des Zweiten Weltkrieges vollständig oder weitgehend zerstört. Die Ruine der Humboldt-Hauptverwaltung musste einer Verbreiterung der Kalker Hauptstraße nach Norden weichen.
Kalk entwickelte sich in den 1870/80er Jahren zur Stadt mit einer Bebauung hauptsächlich entlang der Kalker-Hauptstraße aber auch an den seit etwa 1860 von der Hauptstraße abzweigenden Nebenstraßen. Mit 3958 Einwohnern wurde der Ort 1867 zusammen mit Vingst und Poll von Deutz getrennt und erhielt mit Wilhelm Wiersberg einen ersten hauptamtlichen Bürgermeister und vermittelte schon zu Beginn der 1870er(etwa 5000 Einwohner) Jahre das Bild einer industriellen Kleinstadt. 1881 erhielt Kalk mit inzwischen 9600 Einwohnern die Stadtrechte verliehen.
Werkswohnungenn Nassauer Str.
Veranlasst durch die Expansion der Maschinenfabrik Humboldt seit 1871 und begründet durch die Wohnungsnot in Kalk wurden Anfang der 1870er Jahre auch die Ursprünge des Werkswohnungsbaus gelegt. Südlich der Köln-Gießener Eisenbahnlinie, in einem Bereich also, in den sich das Werk kaum ausdehnen konnte, entstanden nach einem großzügig ausgelegten Bebauungsplan mit einem orthogonalen Straßenraster an der Nassauer-, Usinger- und Wattstraße bis 1875 42 eingeschossige Doppelhäuser. Große Teile der Arbeitersiedlung wurden im Krieg zerstört. Nur wenige inzwischen stark veränderte Doppelhäuser an der Nassauer- und Usingerstraße erinnern noch an diese Expansionsphase der Maschinenfabrik Humboldt.
Bei der Maschinenfabrik Humboldt ging in der auf die Gründerjahre folgenden Krise(seit 1873) die Hälfte des Aktienkapitals verloren. Von den nahezu 2000 Beschäftigten musste mehr als die Hälfte gehen. Johann Neuerburg und Wimmar Breuer konnten sich in dieser Krise nicht im Unternehmen behaupten. Der Schaaffhausensche Bankverein wurde die bestimmende Kraft. Eugen Langen als führendes Mitglied im Bankverein, übernahm 1879 den Vorsitz im Aufsichtsrat bei Humboldt und besetzte die Leitung des Unternehmens mit Personen seines Vertrauens. Nachdem der Schaaffhausensche Bankverein das Werk 1884 endgültig für 6 Mio. Mark übernommen hatte, wurde auch der dann über Jahrzehnte hinweg gültige Firmenname etabliert: Maschinenbau-Anstalt Humboldt AG. Von den baulichen Aktivitäten der 1870er Jahre sind auf dem Werksgelände keine Resultate erhalten geblieben.
Humboldt als Zentrum eines montanindustriellen Komplexes
Germaniahütte am oberen Bildrand. Im Süden die Werkssiedlung.
Zur Geschichte der Maschinenfabrik Humboldt gehört auch der von Johann Neuerburg ausgehenden Impuls für einen umfassenden montanindustriellen Komplex in Kalk und Umgebung. Mit personell fast identischen Aufsichtsräten und jeweils finanziert durch die drei maßgebenden Bankhäuser J. H. Stein, Salomon Oppenheim und Schaaffhausen entstanden aus der Gründungstätigkeit von Johann Neuerburg heraus etwa zehn neue Unternehmen, darunter die Bergwerksgesellschaft Germania für den Erwerb und Betrieb von Kohlen- und Eisensteinzechen, die Germaniahütte mit einem Hochofenwerk in Köln-Höhenberg und unter dem hochmögenden Firmennamen „Aktiengesellschaft Zeus“ ein Stahl- und Walzwerk. Unmittelbar räumlichen Bezug zur Maschinenfabrik Humboldt hatte das Stahl- und Walzwerk mit neuen Hallen nördlich und südlich der Dillenburger Straße. Südlich der Straße wurde ein Puddelwerk mit 28 Öfen errichtet und direkt gegenüber das zugehörige Walzwerk für Eisen- und Stahlbleche. Parallel entstanden Hallen für ein Buntmetallwalzwerk zur Erzeugung von Zink-, Kupfer- und Messingprodukte.
Alle von Neuerburg und seinen Mitstreitern errichteten Unternehmen und Anlagen aus den frühen 1870er Jahren waren nicht überlebensfähig, mussten stillgelegt oder umgegründet werden. Das Hüttenwerk in Höhenberg konnte nach zwischenzeitlicher Liquidation und Übernahme durch den Schaafhausenschen Bankverein unter dem Namen Rheinischer Hüttenverein 1882/83 mit 3 Hoch- und 80 Koksöfen in Betrieb genommen werden, wurde aber nach nur einem knappen Jahrzehnt 1892 wieder stillgelegt. Nur ein Straßenname(Germaniastraße)am Rande des hier nach 1918 entstandenen Wohnquartiers erinnert noch an die Eisenproduktion in diesem Gebiet. Die Aktiengesellschaft Zeus wurde zwar 1873 mit Humboldt verschmolzen, war aber in der realisierten Größe nicht überlebensfähig. Das Puddel- und Stahlwalzwerk wurde ab 1878 noch unter der Regie Humboldts von Louis Mannstaedt geleitet, dann aber 1885 völlig vom Mutterunternehmen getrennt. Das Puddelwerk war schon 1880 stillgelegt worden. Das Zinkwalzwerk – ein Hallenkomplex direkt östlich der Neuerburgstraße – erwarb 1875 die Schlesische AG für Bergbau und Zinkhüttenbetrieb und blieb bis 1919 in Betrieb. Zinkwalzwerk und die anschließende, in einer Humboldt-Halle eingerichtete Kesselfabrik von Walther & Co(Verlagerung 1904 nach Dellbrück) blieben lange ein Dorn in dem in den folgenden Jahrzehnten darum herum sich ausdehnenden Komplex der Maschinenfabrik Humboldt. Heute wird die freie Fläche dieser Hallen(Zinkwalzwerk und Kesselfabrik Walther & Co) von Wedag-Humboldt als Lagerfläche und Parkplatz genutzt.
Die Vision einer montanindustriellen Großanlage in Kalk war in der auf die Gründerjahre folgende Krise spätestens mit Stilllegung der Hütte 1892 ausgeträumt.
Blütezeit 1895-1918
Der schon unter Eugen Langen Anfang der 1890er Jahre spürbare, erneute Aufstieg des Unternehmens setzte sich verstärkt nach dessen Tod 1895 unter dem neuen Aufsichtsratsvorsitzenden Julius van der Zypen fort. Eine neue Ära begründete der 1903 in den Aufsichtsrat eintretende Peter Klöckner, zusammen mit dem wenig später als Generaldirektor an die Spitze des Unternehmens berufenen Richard Zörner.
Schon unter Langen waren neue Produktionsfelder erschlossen worden. Seit Ende der 1870er Jahre betätigte sich Humboldt im Stahl- und Brückenbau.
Lokomotivbauhallen an der Rolshover Strape Langen hatte 1894 für den Erwerb der Lizenz zum Bau von Laval-Dampfturbinen gesorgt. Der Dampfturbinenbau – eine der Schlüsseltechnologien der entstehenden Elektrizitätswirtschaft – wurde zu einem blühenden Zweig des Unternehmens. Julius van der Zypen, als Teilhaber der Waggonfabrik Van der Zypen & Charlier dem Fahrzeugbau verbunden, sorgte 1896 für die Aufnahme des Lokomotivbaus. Anfangs eingerichtet auf eine Jahresproduktion von 36 Maschinen erfolgte bis 1919 eine allmähliche Erweiterung der Produktion auf 100 große Lokomotiven im Jahr. Der Lokomotivbau mit Produktionshallen nahe der Rolshover Straße wurde mit allein mehr als 1000 Beschäftigten eine Säule des Unternehmens.
Zu den Lokomotiven kamen als neue Produkte Eismaschinen, Ausstattungen für Zementwerke, Chemiefabriken und Kabelwerke sowie Ofenkonstruktionen aller Art. Zusammen mit den Aufbereitungsanlagen und Maschinen für den Bergbau blieb der Maschinenbau die Basis des Unternehmens. Zörner sorgte zudem für die Ausdehnung des Angebots auf Röhrentrockner und Brikettfabriken für den Braunkohlenbergbau. Humboldt wurde auch in diesem Bereich weltweit eines der führenden Unternehmen. Auch Löffelbagger und 1916 der erste Schaufelradbagger wurden bei Humboldt gebaut. Allerdings wurde der Baggerbau schon 1924 wieder aufgegeben.
Die anbrechende Blütezeit der Maschinenfabrik in den 1890er Jahren manifestierte sich in den neuen Hallen für den Maschinenbau (Geb. 75-77) an der Neuerburgstraße. Auch auf dem Vingster Feld, südlich der Dillenburger Straße wurden um 1900 teilweise nach Abbruch der Hallen aus den frühen 70er Jahren Neubauten für Schmiede, Gießerei, Modellschreinerei, Stahlbau, Perforieranstalt und Kesselbau errichtet. Realisiert wurde ein schlichtes, durch die Grundstücksverhältnisse provoziertes Anordnungsschema für diese lang gestreckten Hallen in nordsüdlicher Parallellage mit den Stirn- oder Schmalseiten zur Dillenburger Straße und zur Köln-Gießener Eisenbahn.
Stahlbauhalle, südlich der Dillenburger Straße. In konstruktiver Hinsicht bemerkenswert war die Stahlbauhalle von 1910 (Geb. 33), die trotz Mittelkranbahn ohne die sonst üblichen Mittelstützen auskam. Teil dieser Hallen im Vingster Feld war eine 1897 errichtete elektrische Kraft- und Lichtzentrale, die zunächst nur diese südlichen Hallen mit Strom versorgt, später aber das Energiezentrum für das ganze Werk war. Ein Schornstein dieser später immer wieder ausgebauten Zentrale ist erhalten geblieben.
Beflügelt wurde die Bautätigkeit bei Humboldt durch die Abwanderung von Louis Mannstaedt & Cie. 1912 nach Troisdorf. Das unter Louis Mannstaedt und seinen Söhnen erfolgreiche Kalker Facon-Walzwerk fand mit der Friedrich-Wilhelms-Hütte dort eine dauerhafte Basis für den Bezug von Stahlhalbprodukten und zog mit der Stammbelegschaft und der maschinellen Ausstattung auf das Hüttengelände nach Troisdorf. Die Maschinenbauanstalt Humboldt erwarb in Kalk die freiwerdenden Immobilien für neue Werksbauten.
Über die Zeit des Ersten Weltkriegs hinweg und durch diesen mit Heeresaufträgen bestärkt wurde das Jahrzehnt zwischen 1909 und 1919 eine Zeit intensiver Bautätigkeit, durch die bis zu Beginn der 1920er Jahre 2/3 des Werkes neu entstanden. Maßgeblich gelenkt wurde diese Bautätigkeit durch den in Architekturfragen anspruchsvoll denkenden Generaldirektor Richard Zörner. Zörner machte eine Qualitätsarchitektur für die inzwischen als Komplettangebot gelieferten Zechen- und Fabrikbauten zu einem Markenzeichen des Unternehmens. Und die eigenen Werkstattbauten dienten für alte und neue Kunden als Nachweis für die hoch stehende Kompetenz des Unternehmens im Industriebau. In den Jahren 1913-16 entstand an der Ecke Dillenburger-/Christian-Sünner-Straße auf den freiwerdenden Flächen der Mannstaedt - Werke ein geschlossener Werkstättenblock für Spezialgießerei, Bau von Aufbereitungsanlagen, Waggonbau und den zugehörigen Bürobauten.
Hallen für den Lokbau an der Dillenburger Straße. In gleicher Architektur wurden die großen Hallen für den Lokomotivbau direkt am Tor 1 an der Dillenburger Straße bis 1917 erneuert (nicht erhalten).
In diese Zeit fällt auch der Bau einer neuen Versuchsanstalt an der Sieverstraße 1910-1913. Der stattliche Backsteinbau ersetzte alte Werkstattbauten aus der Anfangszeit des Unternehmens. Seit Beginn des Unternehmens hatte es eine Versuchsstation in einem dafür abgetrennten Werkstattbereich gegeben. Humboldt verdankte dieser 1865 schon einmal erneuerten Einrichtung seinen Weltruhm.
Schaubild 1919. Rechts die Versuchsanstalt. In der Versuchsanstalt wurden mit den aus ganz Europa eingeschickten Erz- und Kohleproben Aufbereitungsversuche durchgeführt. Auf diesem Hintergrund ist die opulente Erscheinung der 1910-13 erneuerten Versuchsanstalt, zu der auch ein Museum mit bergbautechnischen Maschinen gehörte erklärlich. Das Gebäude der 1910 - 13 erbauten Versuchsanstalt ist leider nicht erhalten. Ihre Funktion wird in dem von Humboldt-Wedag an der Dillenburger Straße heute noch betriebenen Werk aber durch das so genannte Technikum noch in ähnlicher Weise für die Zementfabrikation wahrgenommen.
Werkseingang Kalker Hauptstraße. Ausschnitt aus einem Zeitungskopf im Ersten Weltkrieg. Die Versuchsanstalt endete im Norden in einem 1 ½-geschossigen Trakt in Neobarockformen mit Turmbau an der Ecke zur Kalker Hauptstraße. Der traditionelle Haupteingang zur Maschinenbauanstalt an der Kalker Hauptstraße erhielt in dieser Zeit um 1910 ein neues Erscheinungsbild und bot nun zu dem auf der nördlichen Straßenseite liegenden Verwaltungsbau ein würdiges Gegenüber.
Humboldt hatte in der Zeit zwischen 1895 und 1919 eine Blütezeit erlebt, wie kaum ein anderes Werk im Kölner Raum und wie sie nur von ganz wenig anderen Unternehmen in Deutschland in ähnlichem Umfang erreicht wurde.
Die enge Wechselwirkung von Werks- und Stadtgeschichte
Parallel zur Werksentwicklung war Kalk zu einer stattlichen Industriestadt herangewachsen. Nach einem ersten Bebauungsplan für die nordöstlichen Stadtteile hatte der direkt darauf folgende Bebauungsplan für die südlichen Stadtteile unmittelbare Folgen für die Maschinenfabrik Humboldt.
Lageplan 1919. Oben der Sternplatz aus dem Bebauungsplann von 1898. Der 1898 rechtskräftige Plan sah nördlich der Mannstaedt - Hallen einen Sternplatz nach den damals gültigen städtebaulichen Vorbildern deutscher Großstädte und der großen europäischen Metropolen vor. Die damit vorgesehene
Anspruchsvolle Fabrikarchitektur als Randbebauung für den 1898 geplanten Sternplatz. Schrägführung der Straßen prägte die Grundrissform des bereits erwähnten Werkstättenblocks an der heutigen Christian-Sünner-Straße. Die anspruchsvolle architektonische Ausbildung dieser Hallen war von den städtebaulichen Zielen in diesem Bereich geprägt. Die Werksfassaden wurden als Gegenüber von Wohnhäusern und öffentlichen Bauten, wie Schulen und Kirchen entwickelt. Die Entwicklung der Dillenburger Straße mit Werksbauten gleicher Qualität machte die wichtige Funktion dieser Straße als innerörtliche Verbindungsachse auch zur nun weiterentwickelten Humboldt-Siedlung deutlich.
Nicht mehr auf dem Gebiet der Stadt Kalk liegend mit dieser aber räumlich eng verknüpft muss im Rahmen der Werksentwicklung auch die Expansion der Humboldt-Siedlung als wesentlicher Bestandteil der Industrieentwicklung verstanden werden.
Wohnungsbau südlich der Bahnlinie unter Mitwirkung des Kölner Stadtbaumeisters und Werkbundarchitekten Carl Rehorst. Die dortige Wohnbauentwicklung ist das Gegenstück zu den nach 1909 errichteten Werksbauten. Angetrieben besonders durch Richard Zörner entstanden durch das renommierte Kölner Architekturbüro Fabricius & Hahn unter Mitwirkung des Kölner Stadtbaumeisters Carl Rehorst Pläne für einen mehrgeschossigen Wohnungsbau südlich der Köln-Gießener Eisenbahn. Das neue, nach einem Bebauungsplan von 1909 entstandene Wohngebiet sollte Wohnraum nicht nur für Arbeiter der Maschinenfabrik Humboldt, sondern für die Beschäftigten aller Betriebe in Kalk und Umgebung bieten. Die Häuser wurden überwiegend nach der von Humboldt betriebenen Entwicklungstätigkeit durch private Bauherrn und deren Architekten aber unter Aufsicht und Förderung des Werks betrieben. Es entstand bis 1916 ein architektonisch-/städtebaulich anspruchsvolles Wohnviertel mit den in jener Zeit üblichen geschwungenen Straßenführungen unter Einfügung von Platzanlagen und einer vom Werk gestifteten und dem Kölner Gartenamtsdirektor Fritz Encke gestalteten Parkanlage, dem Humboldthain. Trotz Kriegszerstörungen ist das Viertel in weiten Teilen erhalten und muss trotz der räumlichen Entfernung und Trennung vom Werk durch die in Dammlage geführte Eisenbahn als Sinneinheit zur den denkmalwerten Fabrikbauten der Maschinenbauanstalt Humboldt verstanden werden.
Konzernbildung nach dem Ersten Weltkrieg
Peter Klöckner, anfangs noch 1903 als Beauftragter des Schaaffhausenschen Bankvereins in den Aufsichtsrat von Humboldt geholt, hatte bis 1915 die Aktienmehrheit des Unternehmens erworben und war Vorsitzender des Aufsichtsrates geworden. Richard Zörner schied 1921 als Generaldirektor aus, nachdem Klöckner ihm schon 1919 einen kaufmännischen Generaldirektor und ein technisches Vorstandsmitglied an die Seite gestellt hatte. Auf Initiative Klöckners bildeten die Gasmotorenfabrik Deutz, an der er ebenfalls die Mehrheit hielt und Humboldt unter Beteiligung der Motorenfabrik Oberursel 1924 eine Interessengemeinschaft. (Oberursel war schon seit 1921 mit Deutz als Interessengemeinschaft verbunden) 1925 gehörte das Kalker Werk mit 6500 Beschäftigten zu den Großen der Kölner Industrie.
Viele Chronisten der Maschinenbauanstalt Humboldt sehen allerdings durch die von Peter Klöckner begründete Interessengemeinschaft mit Deutz eine Aufgabe der Selbständigkeit des Humboldt verbunden und damit gekoppelt einen fortschreitenden Niedergang des alten Kernunternehmens. Man unterschied das „Werk Kalk“ für Lokomotiv- und Traktorenbau und das „Werk Humboldt“ für den Maschinen- und Stahlbau. Das wachsende „Werk Kalk“ gehörte zur Motorenfabrik Deutz während das schrumpfende „Werk Humboldt“ unter dem Dach der Interessengemeinschaft eigenständig blieb. 1929 war der mit amerikanischen Produktionsverfahren vertraute Helmut Stein zur Leitung des Werkes Humboldt berufen worden (seit 1932 auch zuständig für die Deutzer Werke). Die nun verstärkte, aus der Aufgabenteilung zwischen Deutz und Kalk resultierende Umorganisation des Werkes erfolgte gegen den Willen der Belegschaft und ließ sich ohne großen Widerstand erst nach dem für die Beschäftigten verloren gegangenen 8-wöchigen Streik von 1931, als alle „unruhigen und kommunistischen Elemente“ nicht wieder eingestellt wurden durchführen. Nach 1929 wurden unter der Leitung von Helmut Stein der Dampflokomotivbau, die Gießerei, die Fertigung von Perforierblechen und andere Produktfelder aufgegeben. Übernommen wurde dafür aus Deutz die Produktion von Kleinlokomotiven mit den in Deutz gefertigten Dieselmotoren. Der Traktorenbau wurde besonders nach Aufnahme der Serienproduktion 1928 eine Erfolgsgeschichte des Unternehmens. Beide Bereiche jedoch, Lokomotiv- und Traktorenbau wurden direkt von Deutz aus geleitet und waren nur standorttechnisch in Kalk untergebracht. In einem Prozess der sich nach 1924 über ein Jahrzehnt hinzog gab es unter Preisgabe vieler Geschäftszweige einen Rückzug des Humboldts auf das Kerngebiet der Gründungszeit: Aufbereitung und Stahlbau. Durch die 1930 vollzogene Fusion mit der Motorenfabrik Deutz und der Motorenfabrik Oberursel zur Humboldt-Deutzmotorenfabrik AG galt die Abhängigkeit des „Werks Humboldt“ von dem Deutzer Unternehmen als besiegelt. 1938 wurde der letzte Schritt in der Konzernbildung mit Einbeziehung der Maschinenfabrik Humboldts in die Klöckner-Humboldt-Deutz AG getan.
Große Einschnitte in Substanz und Bild der Werksanlagen erfolgten im alten Kernbereich der Maschinenfabrik. Im Block zwischen Neuerburgstr. und Rolshover Str. wurde der Maschinenbau komplett herausgenommen und die alten Hallen abgerissen oder stillgelegt. Der Maschinenbau wurde verlegt in den 1913-16 entstandenen Werksblock Dillenburger-/ Christian-Sünner-Straße. Dieser Block bildete nun den Kernbereich des Werks Humboldt. Im Südbereich gehörte nur die Stahlbau-Halle (Geb. 33) weiter zum Werk Humboldt. Die restlichen Hallen südlich der Dillenburger Straße wurden von der Motorenfabrik Deutz als „Werk Kalk“ im Wesentlichen für den Fahrzeugbau (Traktoren und Kleinloks) genutzt.
Die Aufgabe des stolzen Verwaltungsgebäudes an der Kalker Hauptstraße 1929, die Abgabe eines Teils der Verwaltung nach Deutz und die Verteilung der verbleibenden Büros über das Werksgelände galt als Zeichen der jetzt erreichten Unselbständigkeit des Humboldts. Der dem Verwaltungsgebäude gegenüberliegende ehemalige Haupteingang wurde abgebrochen und das Grundstück 1935 durch ein großes Wohn- und Geschäftshaus überbaut. Humboldt zog sich also von der Kalker Hauptstraße zurück und konzentrierte sich mit beiden Werksteilen zukünftig auf den Bereich an der Dillenburger Straße.
Nachdem in Kalk in den Humboldt- und Deutz-Werken 1929 noch etwa 4000 Beschäftigte tätig waren, sank die Zahl auch bedingt durch die Weltwirtschaftskrise auf 1100 bis 1300 Arbeiter in Jahr 1931.
Der Standort Kalk konnte ab 1933 von der Subventionierung der Landwirtschaft durch einen höheren Absatz an Traktoren profitieren. Der 1936 entwickelte Klein- oder Bauernschlepper stieß auf eine hohe Nachfrage. Zusammen mit dem Kleinlokomotivbau wurde der Traktorenbau in den 1930er Jahren im östlichen Werksgelände konzentriert. Der Aufschwung im Traktorenbau kam baulich in einer neuen, 1936/37 errichteten großen Halle zum Ausdruck. Gegenüber entstand an der Ecke Dillenburger Str./ Graßhofstraße gleichzeitig ein
Neue Verwalung von 1936/37 an der Dillenburger Straße (Gebäude 56) neues Verwaltungsgebäude (Geb. 56) zur Aufnahme aller am Standort Kalk verbliebenen Büros. Einschneidende Wirkung für das Zusammenspiel zwischen Orts- und Werksbild hatte 1939/40 die Einziehung der Dillenburger Straße und der Graßhofstraße (Christian-Sünner-Straße) ins Werksgelände. Neue Toranlagen entstanden an der Rolshover Str. (Tor 1) an der Kapellenstr. (Tor 4) und an der Wiersbergstr. (Tor 3). Der Werkseingang am Tor 4 war markiert durch die 1935 erbaute Sauerstoffanlage und das wenig später gegenüber entstandene Werks-Schwimmbad.
Das „Werk Kalk“ der Motorenfabrik Deutz mit Lok- und Traktorenbau, Schmiede und Gießerei zählte 1939 2570 Beschäftigte und über 500 Lehrlinge. Das KHD- Werk Humboldt mit Maschinen- und Stahlbau hatte nur noch 1510 Arbeiter und war das kleinste Kölner Werk von Klöckner-Humboldt-Deutz geworden.
Mit Kriegsbeginn erhielt Klöckner-Humboldt-Deutz – wie alle metallverarbeitenden Betriebe – den Auftrag, Kapazitäten in Gießerei und Drehereien für die Herstellung von Geschossen und Bomben zu nutzen. Diese Arbeiten endeten, als Aufträge mit höheren Prioritäten eingingen: in Deutz der U-Boot –Motorenbau und in Kalk Teilfertigung für den Flugzeugmotoren in Oberursel. Der Bau von Traktoren wurde noch einmal wichtig, als die eroberten Gebiete im Westen und Osten besonders in der Sowjetunion mit ihren großen landwirtschaftlichen Betrieben maschinell ausgerüstet werden sollten.
Industrieplanung 1941 für das Gelände bis zur Kapellenstraße. Die Kriegsproduktion führte zu einer ausgedehnten Industrieplanung im noch weitgehend unbebauten Ostteil des Werksgeländes. Der Leiter der Bauabteilung Macherey legte für das Gelände bis zur Kapellenstraße 1941 eine Gesamtplanung vor. Ausgehend von dem 1936/37 neu errichteten Verwaltungsbau an der Dillenburger Straße waren in diesem Entwicklungskonzept Hallen für den Bau der Flugzeugmotoren-Einspritzpumpen zusammen mit Kasino, Hallenbad und Sportplatz nördlich der Dillenburger Straße vorgesehen. Ausgeführt wurde 1941/42 der Pumpenbau (Geb. 54, 100). Für den Bau von Kasino, Hallenbad und Sportanlage wurden noch die notwendigen Erdarbeiten begonnen, aber die zugehörigen baulichen Anlagen nicht mehr ausgeführt. Die mit der Planung wohl auch angestrebte Auszeichnung zum NS-Musterbetrieb mit gleichzeitiger Würdigung als Kriegs-Musterbetrieb und Verleihung der goldenen Fahne erfolgte 1942.
Kriegszerstörter Pumpenbau. Nach Wiederaufbau zur Schlepperfertigung genutzt. Schon im Juli 1943 jedoch wurden weite Teile des Werks durch Fliegerangriff zerstört. Die Produktion der Einspritzpumpen wurde nach Brünn, der Traktorenbau nach Ulm ins Magirus-Werk verlagert. Ein Teil der Produktion ging nach Wassenberg.
Wiederaufbau und Strukturwandel
Nach Kriegsende und erfolgtem Wiederaufbau unter Leitung von Karl Golücke und unter „großen Entbehrungen der Arbeiter und Angestellten“ blieb es bei der alten Aufteilung mit dem Werk Kalk für Diesellokomotiven und Traktorenbau und dem Werk Humboldt für Maschinen-, Apparate und Stahlhochbau. Der kriegszerstörte Pumpenbau wurde wiederhergerichtet und fortan für den Bau von Traktoren verwendet. 1949/50 waren in der zugehörigen 200 Meter langen Fertigungshalle schon 10.000 und in dem erweiterten Komplex bis 1955 100.000 Traktoren gebaut worden. 1956 arbeiteten etwa 3500 Mann bei KHD in Kalk. Wichtige Neubauten der kommenden Jahre waren 1955/56 die neue Versuchsanstalt als „Herzstück“ des Unternehmens (nicht erhalten), 1958 das Sozialgebäude am Ende der Wiersbergstraße mit Hauptküche, großen Speisesälen und Gästeräumen und gegenüberliegend ein neues Pförtnerhaus mit Werksfeuerwehr und Werkssicherheitsdienst. Besonders wichtig aber war die neue 1960-61 erbaute Schlepperfabrik, deren Einweihung mit einem „Corso der Technik“ in der Kölner Sporthalle gefeiert wurde. Für die Verwaltung der KHD-Werke in Kalk waren an der Dillenburger Str. die Bürohäuser als weitgehende Neubauten wieder hergestellt worden (Geb. 56 und 69).
Hauptverwaltung an der Deutz-Mülheimer-Straße. Mit dem 1961-64 an der Deutz-Mülheimer Straße für den ganzen Konzern errichteten Hauptverwaltung wurde noch einmal ein Zeichen gesetzt für das in Deutz zu findende Zentrum des Unternehmens, dessen Verbindung zur Klöckner AG im Zuge der Entflechtung 1953 gekappt worden war. Nur etwa 20 Jahre noch hielt der Aufschwung aus der als Wirtschaftswunderzeit begriffenen Nachkriegsphase an. Betroffen vom allgemeinen Strukturwandel in der deutschen Industrie wurden auch bei KHD seit 1983 Arbeitsplätze abgebaut. Die stolze Hauptverwaltung wurde 1989 an eine schwedische Investmentgesellschaft verkauft und zurückgemietet. Auch durch den Verkauf von Wohnungen schon 1981/82 und dann erneut 1989 kam dringend benötigtes Kapital in die Kassen. In einer Rettungsaktion für den bedrohten Konzern und die Arbeitsplätze erwarb die Stadt Köln 1992 ein Teil der Werksgelände der KHD. Der Verkauf der Traktorenproduktion an einen italienischen Konzern, die Verlegung dieser Produktion nach Süddeutschland sowie starke Verlust nach Fehlkalkulation mit arabischen Geschäftspartnern beschleunigten die Verkleinerung des Werkes. Heute sind noch zwei Hallen durch die seit 1972 zusammengeschlossenen Firmen Humboldt und Wedag unter dem Namen MBE Engineering mit etwa 100 Beschäftigten in Betrieb. Die Deutz AG betreibt südlich der Dillenburger Str. noch die alten Stahlbau-Hallen für die Montage von Motorengehäusen mit ebenfalls etwa 100 und ein Service-Center mit weiteren 80 bis 100 Mitarbeitern. Auf freiwerdenden Flächen wurden seit Aufnahme Kalks in das Landesprogramm für Stadtteile mit besonderen Erneuerungsbedarf Hallen abgebrochen und Neubauten, wie etwa das 1999 eröffnete Kalk-Karree erstellt.
Kleiner Maschinenbau, umgenutzt als Spielstätte der Kölner Bühnen unter dem Namen "Halle Kalk". Ein Teil der Hallen aus dem Bestand der Stadt Köln wurden umgenutzt u. a. die Hallen 75-77 als Spielstätte für das Kölner Schauspiel und die Halle 59 unter dem Namen „Abenteuerhallen“ für eine Freizeitnutzung.
Literatur
• Aus der Geschichte des Werkes Humboldt 1856-1956, RWWA XIVe 4185
• 50 Jahre Maschinenbauanstalt Humboldt, Köln 1856-1906, RWWA XIVe 346
• 60 Jahre Maschinenbauanstalt Humboldt. 1856-1916, RWWA XIVe 507
• 100 Jahre Humboldt 1856-1956, hg. vom Werk Humboldt der Klöckner-Humboldt-Deutz AG, Köln 1956 (RAD G 355)
• 100 Jahre Klöckner-Humboldt-Deutz AG-Köln 1864-1964 (Broschüre) rwwa 515.3
• Aus der Geschichte des Werkes Humboldt, Köln-Kalk 1856-1956, Köln 1956
• Aders, Gebhard: Die Firma Klöckner-Humboldt-Deutz AG im Zweiten Weltkrieg. Teil 1.2, in: Rechtsrheinisches Köln, Bd. 14, S. 89-143; Bd. 15, S. 129-176
• B.: Kohlenwäsche und Schachtgebäude der Zeche Werne, in: Der Industriebau. Monatsschrift für die künstlerische und technische Förderung aller Gebiete industrieller Bauten/Einschließlich aller Ingenieurbauten/sowie der gesamten Fortschritte der Technik 6, 1915, Heft 11, S. 439-450
• Bilz, Fritz(Hg.): Einschnitte. Veränderung der Historie: Industriearbeit in Köln-Kalk, Köln 1997
• Bilz, Friz: Zwischen Kapelle und Fabrik. Die Sozialgeschichte Kalks von 1850 bis 1910, Köln 2008
• Franz, W.: Fabrikbauten = Handbuch der Architektur T. 4, H.5, Leipzig 1923(mit Bauten von Humboldt)
Führer durch die Maschinenbau-Anstalt Humboldt. 60 Jahre technische Entwicklung. 1856-1916, Köln 1919
• Goldbeck, Gustav: Kraft für die Welt. 1864-1964 Klöckner-Humbold-Deutz AG, Düsseldorf/Wien 1964
• Graesle, Erwin: 100 Jahre Humboldt, 1856-1956, Köln 1958 (Staa Kö Eh 131,2)
• Graesle, Erwin: Der Humboldt 1949-56, Bd. I Gründung und Gründer, Bd. II Geschichte des Werkes Humboldt, 2. Arbeitsgebiet des Humboldt, 3. Finanzielle Entwicklung, 4. Leitung des Werks, 5 Organisation, 6. Soziales, Typoskript rwwa 516.1
• Humboldt. Aufbereitungs- und Brikettierungs-Anlagen für Braunkohle, um 1930 (Broschüre zeigt Bandbreite der von Humboldt gefertigten Maschinen für Braunkohlebrikettfabriken), Fundort: Dt. Museum Archiv, Masch. Bauanstalt Humboldt Nr. FS 003217/III
• Scherz, F.: Gebäude für gewerbliche Zwecke, in: Köln und seine Bauten. Festschrift zur VIII. Wanderversammlung des Verbandes deutscher Architekten- und Ingenieur-Vereine, Köln 1888 S. 754-806
• Köln. Seine Bauten 1928-1988, hg. Vom Architekten- und Ingenieurverein Köln e. V. in Zusammenarbeit mit FH Köln, Köln 1991
• KHD Humboldt Wedag GmbH(Hg.): 150 Jahre KHD Humboldt Wedag 1856-2006, Köln 2006(Eigenverlag)
• Krüger, Falk: Halle Kalk. Schauspiel Köln, RWTH Aachen, Seminararbeit SS 2003
• Kuske, B.: Eugen Langen, in: Rh.-Westf. Wirtschaftsbiographien, Bd. 1, Münster 1932, S. 264-297
• Landeskonservator Rheinland (Hg.): Denkmalverzeichnis 12.6 Köln. Stadtbezirke 7 und 8 (Porz und Kalk), Köln 1980
• Maschinenbauanstalt Humboldt in Kalk bei Cöln, in: Schütz, J. H.: Praktische Sozialpolitiker aus allen Ständen vom Throne bis zur Werkstätte, vom Palast bis zur Hütte, Köln 1906 (1. Auflage), S. 164-169 (Staa Kö Dd 672,1)
• Meynen, Henriette: Entwicklung der Industriearchitektur in Kalk, Köln 1991 (= Stadtspuren. Denkmäler in Köln Hg. Stadtkonservator Köln, Bd. 7)
• Muthesius, Volkmar: Peter Klöckner und sein Werk, Essen 1959
• Neßeler, Helmut: KHD-Hallen in Kalk, in: Rheinische Heimatpflege 37, 2000 H. 4, S. 304-306
• Oepen-Domschky, Gabriele: Kölner Wirtschaftsbürger im Deutschen Kaiserreich. Eugen Langen, Ludwig Stollwerck, Arnold von Guilleaume und Simon Alfred von Oppenheim, Köln 2003 (Schriften zur Rheinisch-Westfälischen Wirtschaftsgeschichte Bd. 43, zugl. Diss. Duisburg 2000)
• Pohl, Stefan/ Mölich, Georg: Das rechtsrheinische Köln. Seine Geschichte von der Antike bis zur Gegenwart, Köln 1994
• Reuß, Hans-Jürgen: Die Entwicklung der Klöckner-Humboldt-Deutz AG von 1930 bis 1964, Köln 1977, in Rechtsrheinisches Köln, Bd. 3, S. 173-178
• Reuß, Hans-Jürgen: Die Vorläuferfirmen der Klöckner-Humboldt-Deutz AG von 1864-1930, Rechtsrheinisches Köln, Bd. 2, Köln-Porz 1976
• RWWA(Hg.): Kölner Unternehmer und die Frühindustrialisierung im Rheinland und Westfalen(1835-1871), Köln 1984
• Weyermann, Benedikt, Denkmalpflege auf dem ehem. Firmengelände der KHD-Werke in Köln-Kalk unter genauerer Betrachtung der Schornsteine, RWTH Semesterarbeit WS 2005-06
• Wieger, Hermann: Handbuch von Köln, Köln 1925, S. 539